Search Sales

to to

Related Properties

What an opportunity for a developer. Cane Garden Lot 8 is offering 86,487 sq.ft. of already pre-approved residential land, subdiv...  READ MORE

Lovely lot of residential land set within the new country development of Rosegate Meadows. It forms part of a cul-de-sac and meas...  READ MORE

This lovely residential lot is located within a cul-de-sac in the parish of St. George and a short drive to Haggatt Hall, Warrens ...  READ MORE

Sales agent number is 1-(246)-230-0127 or 1-(246)-426-0421

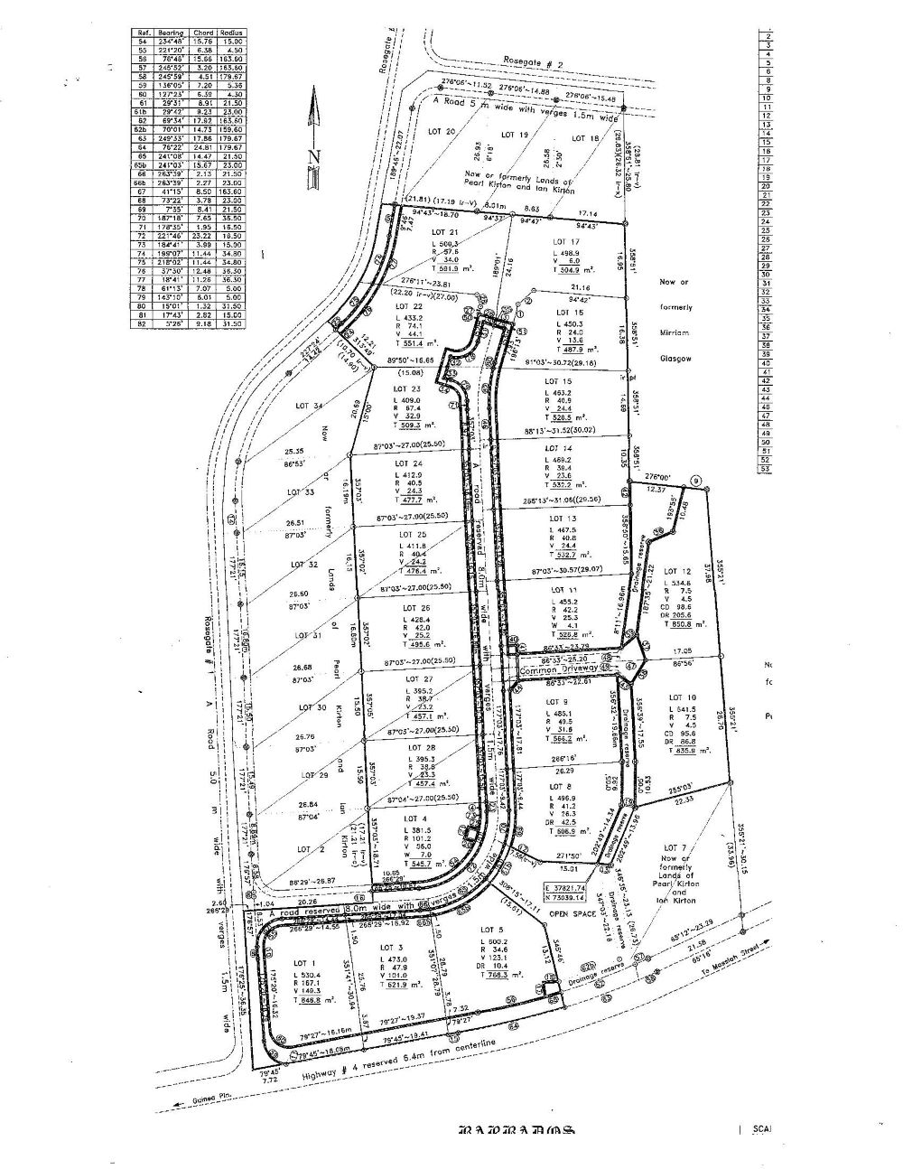
S964 -  Rosegate Meadows Phase 2 Lot 9, St. John, Barbados

Close proximity to Six Roads and its amenities
Land Area: 5560 sq. ft.

Sale Price
47,260.00 USD

This rectangular shaped lot is a corner lot located in the new development of Rosegate Meadows, St. John, it measures 5,650 sq.ft and is considered flat. It is centrally located within the development with straight road frontage and the rear backing onto the drainage reserve. The development has access to public transportation, it is a walk to The Lodge School, it is an approximate 10 minute drive to Six Roads and it’s many amenities including restaurants, shopping, banking and Doctors Offices. The beautiful beaches of The Crane and Bath are also a short drive away while Warrens is a half hour drive away. Cool and breezy, this is a great area in which to build your home and start your future.

Bds$94,520.00

E&OE.

Property Details

Overview

This rectangular shaped lot is a corner lot located in the new development of Rosegate Meadows, St. John, it measures 5,560 sq.ft and is considered flat.

Amenities

Amenities

.  Close proximity to Six Roads and its amenities


Area

Land Area:      5560 sq. ft.


List Your Property with Us

We can introduce your property to our clientele

The Business Centre
Upton, St. Michael, BARBADOS BB11103

INTERNATIONAL: 246.426.0420 | FACSIMILE: 246.429.3485
E: INFO@ASKBARBADOS.COM |
W:

Socialize with Us




Barbados Estate Agents And Valuers Association Inc.
Do NOT follow this link or you will be banned from the site!