Search Sales

to to

Related Properties

Sitting in an elevated position next to the entrance to the landmark, St. Mark's Church in St. Philip, is this flat corner lot pos...  READ MORE

A well-sized lot is situated in this quiet and central community of Silver Hill is conveniently located near Barbados' popular Ois...  READ MORE

Lovely corner lot located in the desirable area of Checker Hall, within a short commute to the beach and amenities of Speightstown...  READ MORE

Sales agent number is 1-(246)-230-0127 or 1-(246)-426-0421

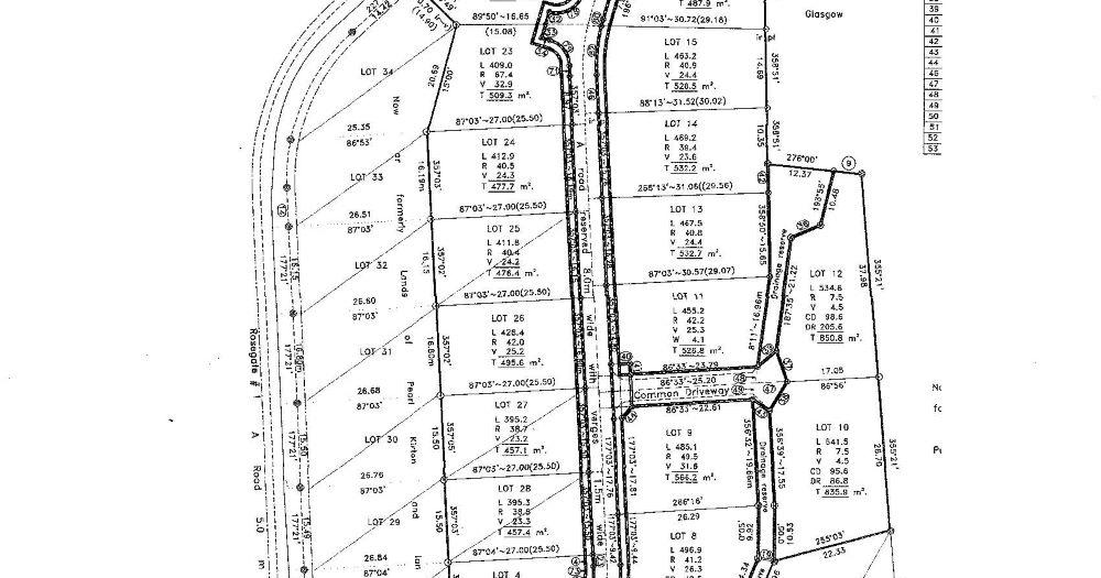
S966 -  Rosegate Meadows Phase 2 Lot 12, St. John, Barbados

Close proximity to Six Roads and its amenities
Land Area: 8013 sq. ft.

Sale Price
64,104.00 USD

Measuring in excess of 8,000 sq.ft this plot of land is located towards the Eastern side of the Rosegate Meadows Development in the parish of St. John. Neatly positioned in a cul-de-sac, this lot has a slight elevation and favorable to many building options. This development is on a bus route, a walk to The Lodge School and a short 10 minute drive to Six Roads and its many amenities including shopping. Warrens is but a half hour drive away. Our beautiful East Coast beaches are a short drive away as well. This is a great new development in a lovely cool location. Ready for you to build your new home.

Bds$128,208.00

Property Details

Overview

Measuring in excess of 8,000 sq.ft this plot of land is located towards the Eastern side of the Rosegate Meadows Development in the parish of St. John.

Amenities

Amenities

.  Close proximity to Six Roads and its amenities


Area

Land Area:      8013 sq. ft.


List Your Property with Us

We can introduce your property to our clientele

The Business Centre
Upton, St. Michael, BARBADOS BB11103

INTERNATIONAL: 246.426.0420 | FACSIMILE: 246.429.3485
E: INFO@ASKBARBADOS.COM |
W:

Socialize with Us




Barbados Estate Agents And Valuers Association Inc.
Do NOT follow this link or you will be banned from the site!